Szanowni Państwo,
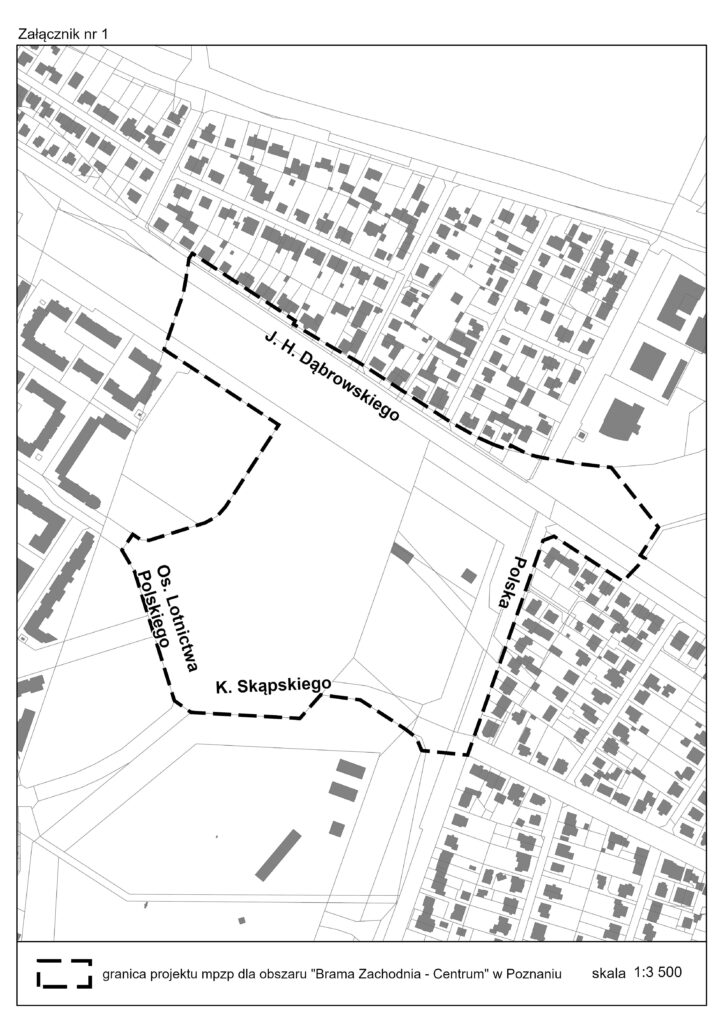
serdecznie zapraszamy na II etap konsultacji społecznych dotyczących projektu miejscowego planu zagospodarowania przestrzennego „Brama Zachodnia- Centrum” w Poznaniu.
W dniu 26 czerwca 2025 r. o godzinie 17.00 w IV Liceum Ogólnokształcącym, ul. Swojska 6 odbędzie się spotkanie konsultacyjne z zespołem projektowym Miejskiej Pracowni Urbanistycznej, w którym będą mogli wziąć udział mieszkańcy.
Zapraszamy Państwa do wzięcia udziału w spotkaniu!
Konsultacje społeczne potrwają od 26 czerwca do 18 lipca 2025 r.
Wnioski dotyczące planu można przesyłać:
- pocztą elektroniczną na adres: mpu@poznan.mpu.pl,
- pocztą tradycyjną na adres: Miejska Pracownia Urbanistyczna, ul. za Bramką 1, 61-842 Poznań,
- za pomocą elektronicznej skrzynki podawczej: /MPU_Poznan/SkrytkaESP,
- za pomocą E-doręczeń na adres: AE:PL-33601-40048-DEAJF-16
Strona internetowa konsultacji

